Hadsundvej (Veteran) Trinbræt, en artikel om Hadsundvej Trinbræt
Hadsundvej Veteran Trinbræt er anlagt af Limfjordsbanen og har i perioder været benyttet ved juletræskørslerne, hvor den lokale Valdemar Atterdags trop fra Gistrup solgte juletræer. Hadsundvej Veteran Trinbræt har også været benævnt Gistrup Trinbræt.
Hadsundvej Veteran Trinbræt ligger ca. 500 meter nordøst for den oprindelige Gistrup Station, som lå på jernbanen til Hadsund. Den oprindelige jernbane er fjernet fra ca. 1,5 km vest for, hvor Gistrup Station lå og den nye bane går nord om Gistrup og hvor Hadsundvej Veteran Trinbræt går banen parallelt med den oprindelige Hadsund bane, dog ca. 400 meter nord for denne.
Hadsundvej Veteran Trinbræt ligger ca. 500 meter nordøst for den oprindelige Gistrup Station, som lå på jernbanen til Hadsund. Den oprindelige jernbane er fjernet fra ca. 1,5 km vest for, hvor Gistrup Station lå og den nye bane går nord om Gistrup og hvor Hadsundvej Veteran Trinbræt går banen parallelt med den oprindelige Hadsund bane, dog ca. 400 meter nord for denne.
Links til supplerende læsning:
www.limfjordsbanen.dk (Link til hjemmesiden for: Limfjordsbanen Veteranbane)Stamdata for Hadsundvej (Veteran) Trinbræt
| Andre navne og stavemåder | Gistrup |
| Driftstatus | I drift |
| Status | Eksisterer stadig |
| Højdeplacering over havet | 6,1 meter |
| GPS koordinater | 57.001840,9.994614 |
Hadsundvej (Veteran) Trinbræt servicerede følgende jernbaner
| Jernbanens navn | Operatør | Længde | Åbnet | Nedlagt |
|---|---|---|---|---|
| Limfjordsbanen Veteranbane | LFB | 16,6 | 1973.06.17 | I drift |
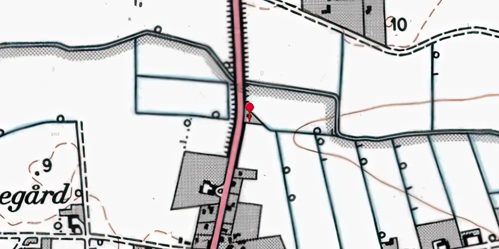
Kort over Hadsundvej (Veteran) Trinbræt

Kort over Hadsundvej (Veteran) Trinbræt - Kilde: Indeholder data fra Styrelsen for Dataforsyning og Effektivisering, skærmkortet, WMS-tjeneste via datafordeler.dk (Ortofoto forår)

Kort over Hadsundvej (Veteran) Trinbræt - Kilde: Indeholder data fra Styrelsen for Dataforsyning og Effektivisering, skærmkortet, WMS-tjeneste via datafordeler.dk (Ortofoto forår)

Kort over Hadsundvej (Veteran) Trinbræt - Kilde: Indeholder data fra Styrelsen for Dataforsyning og Effektivisering, skærmkortet, WMS-tjeneste via datafordeler.dk (Topgrafisk kort 1980-2001)

Kort over Hadsundvej (Veteran) Trinbræt - Kilde: Indeholder data fra Styrelsen for Dataforsyning og Effektivisering, skærmkortet, WMS-tjeneste via datafordeler.dk (Topografisk kort 1953-1976)

Kort over Hadsundvej (Veteran) Trinbræt - Kilde: Indeholder data fra Styrelsen for Dataforsyning og Effektivisering, skærmkortet, WMS-tjeneste via datafordeler.dk (Lave Målebordsblade 1901-1971)